To use this feature, please book it.
€ 399 000

VIVA COLONIA - leben im Kwartier Latäng - gesicherte Mietrendite

50670 Köln, Germany

64 m²

€ 345 000

CHARMANTE ZWEI - ZIMMER - WOHNUNG MIT SONNENBALKON IM KÖLNER SÜDEN - NEUAUSBAU

50968 Köln, Germany

53 m² 2 1 1

€ 299 000

JUNGES WOHNEN IM KWARTIER LATÄNG - 2 ZIMMER - WOHNUNG - BALKON

50674 Köln, Germany

44 m² 2 1 1

€ 399 000

Stadtwohnung im Kunibertsviertel - 2 Zimmer - Wohnung - Ideal für Singles oder Pendler -

50668 Köln, Deutschland

59 m² 2 1 1

€ 650 000

Buy your own jungle paradise! 57,5 Ha

Fernando Lores, 16310, Peru

575 000 m²

€ 1 100 000

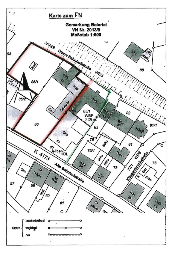
GLOBAL INVEST SINSHEIM | Toller Bauplatz in sehr guter Lage von Baiertal

69168 Wiesloch / Baiertal, Germany

1 358 m²

€ 1 900 000

luxuriöse Privatvilla

276 , Island

230 m² 7 4 3

€ 521

TREBBIN: Singlewohnung am Kreisverkehr in Bahnhofsnähe.

Baruther Str. 3, 14959 Trebbin, Deutschland

52 m² 2 1 1

€ 1 650 000

RODGAU: Attraktive Betriebsflächen samt herrlich eingewachsener Unternehmervilla

Dieselstraße 10, 63110 Rodgau, Deutschland

1 247 m² 20 5 5

€ 549

4-Zimmer-Wohnung im Zentrum! Komplett renoviert! Einzug sofort möglich!

98617 Meiningen, Germany

92 m² 4 3 1

€ 650 000

Faktor 17,79 Grundstück bebaut mit Bürogebäude, Halle/Werkstatt mit Wohnung, Carports und Freiflächen in Barth!

18356 Barth, Deutschland

10 846 m²

€ 151 500

RODGAU: Flexible Bürofläche | Aufzug | Stellplätze | Toiletten | Küche

Senefelderstraße 1, 63110 Rodgau, Deutschland

112 m² 3 1

€ 4 500 000

Serviceresidenz für Seniorenmit angeschl.Tagespflege ect. in HESSEN

Fulda, Deutschland

5 150 m²

€ 257 820

BAD SCHUSSENRIED - NEUBAU: Senioren- und Pflegeeinrichtung

88427 Bad Schussenried, Deutschland

50 m²

€ 254 702

RODGAU: Pflegeappartment und Betreutes Wohnen.

63110 Rodgau, Deutschland

56 m²

€ 69 000

Просторен двустаен апартамент без такса поддръжка в к.к. Слънчев бряг!

Несебър, България

77 m² 2 1 1

€ 63 000

Двустаен апартамент без такса поддръжка в к.к. Слънчев бряг!

Несебър, България

65 m² 2 1 1

€ 780 000

Maisonette mit 3 Wohneinheiten

70376 Stuttgart, Germany

260 m² 9 9 3

Loading ...