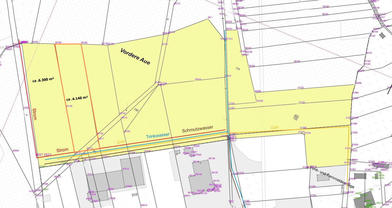
ca. 4.140 m² großes Gewerbegrundstück mit großem Entwicklungspotential; Flächennutzungsplan vorhanden
Übersicht
Extras zum Objekt
Preise
Objektbeschreibung
Zum Verkauf steht ein ca. 4.140 m² großes Grundstück am Muldestausee/Goitzschesee.
Derzeit wird das Grundstück landwirtschaftlich genutzt.
- Elektro, Erdgas, Wasser und Abwasser liegt an der Straße an
Der Kauf von weiteren Flurstücken ist möglich.
Verschiedene gewerbliche Nutzungen denkbar:
- Tourismus
- Naherholung
- medizinische Einrichtung
- Pflegeeinrichtung
- Kinderland
- Wellness
- Kinder- und Jugendcamp
- E-Lade-Park
- Parkhaus
- Streichelzoo
- Lagerhallen
- Ärztehaus
- gewerbliches Wohnen
- nicht störendes Gewerbe
Lage
Der Ortsteil Friedersdorf liegt im Süden von Muldestausee und bietet eine gute Anbindung an öffentliche Verkehrsmittel (Bus). Einkaufsmöglichkeiten, Tankstelle, Schulen sind in wenigen Gehminuten erreichbar.
Muldestausee ist eine charmante Kleinstadt in Sachsen-Anhalt mit einer Vielzahl von Freizeit- Sport- und Erholungsmöglichkeiten.
Besonders sehenswert sind der Muldestausee und der Goitzschesee, der sich in ca. 400 m von dem Grundstück befinden.
Ein beliebtes Ausflugsziel ist das "Seensuchts-Resort" am Goitzschesee, welches zum Speisen und Erholen einlädt.
Die Nähe zu Leipzig, Halle und Bitterfeld (ca. 4,5 km) bietet zudem die Möglichkeit, von einem breiten kulturellen Angebot und guten Arbeitsmöglichkeiten zu profitieren.
Sonstiges
Die von uns gemachten Angaben haben wir nach bestem Wissen und Gewissen nach Informationen des Vermieters/Verkäufers und den uns übergebenen Informationen zusammengestellt. Eine Gewähr für diese Angaben können wir nicht übernehmen. Wichtige Zahlen und Informationen sind am Objekt zu überprüfen.
Zwischenvermietung/Verkauf bleibt vorbehalten.
06774 Muldestausee, Germany
Meta
Weitere Objekte des Maklers Alle Objekte des Anbieters anzeigen →
Produktions- & Lagerfläche mit Rampe und Rolltor im Gewerbepark Wiedemar
Halle zur Miete € 4 129
04509 Wiedemar, Germany
983 m²
€ 580Tolle Lage - Gewerbefläche im Souterrain im beliebten Musikviertel - 2 Räume, inkl. EBK, Bad mit Dusche, Kellerabteil
Büro- / Praxisfläche zur Miete € 580
04107 Leipzig, Germany
51 m² 2
€ 225 0001996 saniertes MFH mit 8 Wohneinheiten in Falkenstein, 1 WE leer - aktuell 7,49 % Rendite
Mehrfamilienhaus zu Verkauf € 225 000
08223 Falkenstein, Germany
438 m²
€ 2 268#Super Lage - Ladenfläche im Waldstraßenviertel - ca. 4 m gr. Schaufensterfront, über 2 Etagen, 2 Lager, Teeküche, WC
Ladenlokal zur Miete € 2 268
04105 Leipzig, Germany
108 m² 4
€ 295 0001996 san. EFH mit gr. Grundstück und grüner, ruhiger Lage! Garage, Terrasse, Balkon, Kamin, Keller, DG-Reserve u.v.m.
Einfamilienhaus zu Verkauf € 295 000
04746 Hartha, Germany
157 m² 5
€ 250Kleine Ladenfläche in toller Marktlage in Groitzsch - 2 Räume, AR, WC, großes Schaufenster mit Rollladen
Ladenlokal zur Miete € 250
04539 Groitzsch, Germany
40 m² 2
€ 520 00090iger Jahre saniertes Wohn-und Geschäftshaus (VH + HH), u.a. Balkon, Dachterrasse, aktuell 6,69 % Rendite
Wohn- und Geschäftshaus zu Verkauf € 520 000
04539 Groitzsch, Germany
453 m²
€ 470 0001996 saniertes, freistehendes MFH mit Nebenhaus, gr. Grundstück; Ausbaupotential im EG, Pkw-SP, derzeit 6,84% Rendite
Mehrfamilienhaus zu Verkauf € 470 000
04565 Regis-Breitingen, Germany
621 m²
€ 4402022 renovierte 3-Raum-WE im 2.OG in freistehendem MFH in grüner + ruhiger Lage, Bad m. F., Einzelgarage mgl.
Wohnung zur Miete € 440
04838 Jesewitz, Germany
60 m² 3 1
€ 4 500vielseitig nutzbare, ebenerdige Gewerbeeinheit, ca. 180 m², mit großer Fensterfront, SUV-TG mgl.
Ladenlokal zur Miete € 4 500
04107 Leipzig, Germany
180 m² 1
€ 1 994 620ca. 2,1 ha gr. Gewerbegrundstück in Jesewitz, gewalzter Boden, Industriegebiet
Gewerbegrundstück zu Verkauf € 1 994 620
04838 Jesewitz, Germany
20 996 m²
€ 1 8152026 frisch renovierte Bürofläche im Gewerbegebiet - 6 Räume, WCs, Küchenanschluss, 2. Fluchtweg, SP mgl. u.v.m.
Büro- / Praxisfläche zur Miete € 1 815
04319 Leipzig, Germany
202 m² 6
