VIEL POTENZIAL - Großes Grundstück mit Abbruchhaus
Übersicht
Extras zum Objekt
Preise
Objektbeschreibung
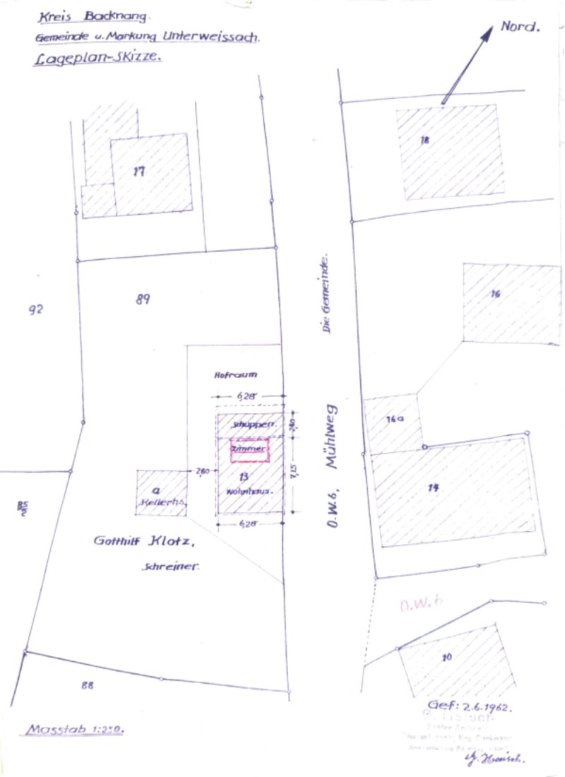
Zum Verkauf steht ein großzügiges Grundstück mit einer Fläche von ca. 819 m², das vielfältige Entwicklungsmöglichkeiten bietet. Auf dem Grundstück befindet sich ein Bestandsgebäude mit einer Wohnfläche von etwa 70 m². Das Haus befindet sich in einem stark renovierungsbedürftigen Zustand und ist daher als Abbruchobjekt zu betrachten.
Für Käufer eröffnet sich hier die Chance, das Grundstück nach eigenen Vorstellungen neu zu bebauen und ein individuelles Bauprojekt zu realisieren. Die Grundstücksgröße bietet dabei ausreichend Raum für unterschiedliche Bebauungskonzepte, vorbehaltlich der baurechtlichen Vorgaben.
Das Grundstück eignet sich besonders für Bauherren, Investoren oder Projektentwickler, die auf der Suche nach einer Fläche mit Potenzial zur Neugestaltung sind. Hier kann ein modernes Wohnkonzept entstehen, das optimal an persönliche Bedürfnisse oder zukünftige Nutzungsideen angepasst wird.
Ausstattung
- Grundstücksfläche von ca. 819 m²
- Abbruchgebäude mit einer Wohnfläche von etwa 70 m²
Lage
Das Baugrundstück befindet sich in ruhiger Wohnlage in Weissach im Tal und bietet ein angenehmes Umfeld, das besonders für Familien attraktiv ist. Die Umgebung ist geprägt von Wohnbebauung sowie viel Grün und sorgt für eine hohe Wohnqualität.
Eine Bushaltestelle ist in nur etwa fünf Gehminuten erreichbar. Von dort bestehen regelmäßige Verbindungen in die umliegenden Orte und in die nahegelegene Stadt Backnang, deren Zentrum in rund zehn Minuten erreichbar ist.
Der Bahnhof in Backnang bietet sehr gute Anbindungen an das regionale und überregionale Verkehrsnetz. Von hier aus bestehen Verbindungen mit der S-Bahn und Regionalbahn unter anderem nach Stuttgart, Marbach am Neckar, Schwäbisch Hall und Nürnberg.
Auch mit dem Auto ist die Lage gut angebunden: Über die Bundesstraße 14 (B14) gelangt man in etwa 30 Minuten nach Stuttgart.
Für Familien bietet die Umgebung eine sehr gute Infrastruktur. Ein Kindergarten sowie mehrere Spielplätze befinden sich in der näheren Umgebung und sind schnell erreichbar. Insgesamt verbindet die Lage ruhiges Wohnen mit einer guten Erreichbarkeit der umliegenden Städte und Arbeitszentren.
Sonstiges
Wir freuen uns auf eine gemeinsame Besichtigung mit Ihnen.
Alle Angaben beruhen auf Verkäuferseite. Albrecht Immobilien übernimmt keine Haftung für die Richtigkeit und Vollständigkeit der Angaben. Gerne vermitteln wir Ihnen auch eine günstige Finanzierung.
Ihr Ansprechpartner ist Herr Serdal Ilhan mobil: 0179 3415858
71554 Weissach im Tal, Germany
Meta
Weitere Objekte des Maklers Alle Objekte des Anbieters anzeigen →
Attraktive 2,5-Zimmer-Wohnung mit Balkon & Stellplatz in TOP-Wohnlage
Apartment zu Verkauf € 198 000
73630 Remshalden, Germany
49 m² 2 1 1
€ 469 000Attraktive Kapitalanlage: Gepflegtes Mehrfamilienhaus mit 7 Wohneinheiten & optionaler Bauplatz
Mehrfamilienhaus zu Verkauf € 469 000
74417 Gschwend, Germany
299 m² 11 8 7
€ 90 000Attraktives Baugrundstück mit vielseitigen Möglichkeiten
Wohngrundstück zu Verkauf € 90 000
74417 Gschwend, Germany
615 m²
€ 239 900Renditestarke 3-Zimmer-Wohnung mit zwei Balkonen und 3 TG-Stellplätze in Waiblingen
Apartment zu Verkauf € 239 900
71334 Waiblingen, Germany
72 m² 3 2 1
€ 175 000Zwei- bis Dreifamilienhaus auf attraktivem Grundstück für Handwerker und Investoren
Mehrfamilienhaus zu Verkauf € 175 000
71540 Murrhardt, Germany
250 m² 15 10 3
€ 599 000Vielseitiges Zwei- bis Dreifamilienhaus - Einbauküche - Carport - Balkon, Wintergarten und Terrasse
Mehrfamilienhaus zu Verkauf € 599 000
74564 Crailsheim, Germany
214 m² 9 6 3
€ 179 900Top Rendite möglich - gepflegtes Einfamilienhaus in ruhiger Wohnlage mit Wohnrecht
Einfamilienhaus zu Verkauf € 179 900
73571 Göggingen, Germany
144 m² 7 4 2
€ 790 000Oase der Ruhe mit traumhaftem Garten
Einfamilienhaus zu Verkauf € 790 000
71540 Murrhardt, Germany
225 m² 5 3 2
€ 449 000Großzügiges Ein- bis Zweifamilienhaus mit Garten - Balkon - Garage - Hobbyraum
Einfamilienhaus zu Verkauf € 449 000
73527 Schwäbisch Gmünd, Germany
178 m² 8 4 2
€ 199 900Bezugsfreie 3-Zimmer-Wohnung in toller Wohnlage mit schönem Ausblick - Einbauküche - Balkon - Garage
Apartment zu Verkauf € 199 900
71540 Murrhardt, Germany
76 m² 3 2 1
€ 370 000Großzügiges Zweifamilienhaus mit großem Garten, PV-Anlage & viel Potenzial
Mehrfamilienhaus zu Verkauf € 370 000
89547 Gerstetten-Heldenfingen, Germany
261 m² 12 8 3
€ 169 900Sofort bezugsfrei! Zentrumsnahe 3-Zimmerwohnung mit Einbauküche und Balkon
Apartment zu Verkauf € 169 900
71540 Murrhardt, Germany
81 m² 3 2 1
Ähnliche Objekte Ähnliche Angebote zu dieser Immobilie →
Zwei- bis Dreifamilienhaus auf attraktivem Grundstück für Handwerker und Investoren
Mehrfamilienhaus zu Verkauf € 175 000
71540 Murrhardt, Germany
250 m² 15 10 3
€ 284 900Provisionsfrei! Gepflegte Dachgeschosswohnung mit Balkon und ausgebauter Nutzfläche
Dachgeschosswohnung zu Verkauf € 284 900
73079 Süßen, Germany
92 m² 4 3 1
€ 329 900Viel Platz für die Familie – Charmantes Einfamilienhaus mit schönem großen Garten
Einfamilienhaus zu Verkauf € 329 900
71522 Backnang, Germany
98 m² 5 4 1
€ 295 900Sofort bezugsfrei! - Ein- bis Zweifamilienhaus mit schönem Garten in TOP-Lage
Einfamilienhaus zu Verkauf € 295 900
71546 Aspach, Germany
115 m² 6 4 2
€ 429 600Barrierefrei & Zukunftssicher: Großzügige 4-Zimmer-EG-Wohnung mit KfW-Förderung nahe Schwäbisch Gmünd
Erdgeschosswohnung zu Verkauf € 429 600
73571 Göggingen, Germany
94 m² 4 3 1
€ 280 000Charmante Doppelhaushälfte in ruhiger Lage mit großem Garten - Garage - Balkon
Doppelhaushälfte zu Verkauf € 280 000
73084 Salach, Germany
108 m² 5 2 2
€ 199 000Haus mit Potential für 3 Wohnungen in ruhiger Ortsrandlage von Gschwend
Mehrfamilienhaus zu Verkauf € 199 000
74417 Gschwend, Germany
263 m² 5 4 1
€ 299 000Haus mit Potential für 3 Wohnungen und Baugrundstück in ruhiger Ortsrandlage von Gschwend
Mehrfamilienhaus zu Verkauf € 299 000
74417 Gschwend, Germany
263 m² 5 4 1
€ 259 900Traumhafte Maisonette-Wohnung in Murrhardt - 5,5 Zimmer - Einbauküche - Dachloggia - Carport
Dachgeschosswohnung zu Verkauf € 259 900
71540 Murrhardt, Germany
108 m² 5 4 1
€ 294 900Charmantes Ein bis Zweifamilienhaus in Schleißweiler - schöner Garten - absolut ruhige Lage
Einfamilienhaus zu Verkauf € 294 900
71560 Sulzbach an der Murr, Schleißweiler, Germany
175 m² 5 3 2
€ 145 000Helle 4-5-Zimmer-Wohnung mit großem Balkon in Murrhardt-Alm
Dachgeschosswohnung zu Verkauf € 145 000
71540 Murrhardt, Deutschland
90 m² 5 4 1
€ 295 000Schönes Haus in Top Lage mit großem Grundstück - Einbauküche - Garage
Einfamilienhaus zu Verkauf € 295 000
74363 Güglingen, Germany
120 m² 5 3 1
